Sign up to get new listings emailed daily! SIGN UP LOGIN

San Juan, Deland, FL 32724

$175,000
  • San Juan, Deland, FL 32724 Main Photo

2 Total Photos [Click to View All]

Active
LOT SIZE 4.250 acres MLS#V4939664
STATUSActive PROPERTY TYPELand - Lot/Land SUBDIVISIONYOURLANDO

Property Description

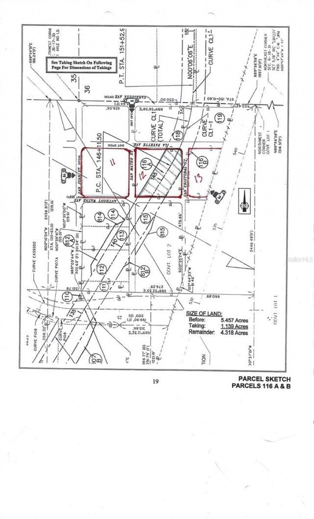
This vacant property consists of 3 blocks, 11, 12 and 13, and is approximately 4.25 acres There is a county right of way running through block 12, which, according to the County of Volusia was originally planned as an I-4 frontage road, however this project is no longer on the future development plan. Owners of the property are allowed the use of and passage across this property, however, at this time no permanent structures can be built on the right of way. It is advised that buyer and agent talk with the county and also obtain a survey.According to the county, 'The right of way is County of Volusia owned land. A County right of way permit is required prior to placing, installing or adjusting any hardscape improvement, driveway or above/below ground utilities (Sec 94.1 and Sec 72.691 Code of Ordinances / County of Volusia) within the County right of way. The public's access to the right of way cannot be restricted by installed or man-made improvements.

San Juan | MLS# V4939664

This land located at San Juan, Deland, FL 32724 is currently listed for sale with an asking price of $175,000. The property has approximately 4.25 Acres. Search Deland real estate on www.adamscameroncommercial.com today.

Property Features

Property Type: Land - Lot/Land
Lot Size: 4.25 Acres
Taxes: $51

Feature Descriptions

Days on Site: 495
Directions: From Dr. Martin Luther King Jr. Beltway turn onto Cassadaga Rd. and drive to San Juan and turn left and sign and property are on the right.
Flood Zone Code: X
Home Warranty Y/N: No
Listing Terms: Cash, Conventional
Lot Dimensions: 4.25
Ownership: Other
Property Attached Y/N: No
Sewer: Septic Needed
Showing Instructions: Go Direct
Special Sale Provisions: None
Utilities: Electrical Nearby
Water: None
Water Access Y/N: No
Zoning: 01A1

Listed By / Shown By

Listed By

Agency Name: WEST VOLUSIA PROPERTIES LLC
Agency Contact: 386-717-9991

Shown By

Agency Title: Adams Cameron & Co. REALTORS - Commercial
Agency Phone: (386) 252-3120

IDX logo

Estimate Your Payment

Estimated Payment

$ 986.72 per month $931.42 Principal & Interest $4.25 Property Tax $51.04 Homeowner's Insurance

Change Payment Information

%
years/fixed
yearly
yearly (est.)
(Payments are an estimate and may vary by lender)

Rose Pinto and Dawson Walker can help you get pre-approved quickly and easily in order to get the home buying process started.

Login to My Property Finder

Pixel