Sign up to get new listings emailed daily! SIGN UP LOGIN
Refine Search

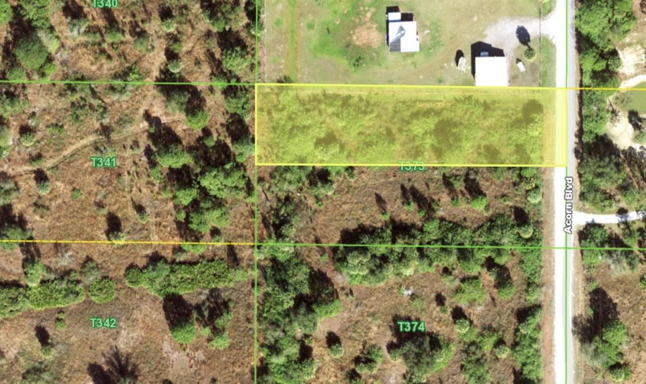
7337 Acorn Boulevard, Punta Gorda, FL 33982

$35,000
  • 7337 Acorn Boulevard, Punta Gorda, FL 33982 Main Photo

1 Total Photos [Click to View All]

Active
LOT SIZE 0.630 acres MLS#C7479536
STATUSActive PROPERTY TYPELand - Lot/Land SUBDIVISIONCHARLOTTE RANCHETTES TR 373

Property Description

This property is in Charlotte Ranchettes- the best of both worlds in Florida- Country atmosphere with most homes on an acre or more - this is one of the few smaller lots at .63 of an acre available. Not far from all that Florida offers in fishing, hunting, boating and beach. The lot is zoned AG so a manufactured home can be set here with property county permitting. The lot is in a designated wetland - the property can be mitigated with the Environmental protection agency (EPA) as many others in the community have done to be able to build here. The process starts with actual footprint surveys of the proposed home so this is something the buyer has to do after purchase. You can though contact the EPA and county and they can tell you about the process. The mitigation cost for an average double wide with driveway, septic and well is 12K to 16K. This is based on the land used for the structure. The owner of this lot already had a Manufactured home built and could not wait for the process (2-6months) for the approval and purchased another property.

7337 Acorn Boulevard | MLS# C7479536

This land located at 7337 Acorn Boulevard, Punta Gorda, FL 33982 is currently listed for sale with an asking price of $35,000. The property has approximately 0.63 Acres. Search Punta Gorda real estate on www.adamscameroncommercial.com today.

Property Features

Property Type: Land - Lot/Land
Lot Size: 0.63 Acres
Taxes: $216

Feature Descriptions

Days on Site: 979
Directions: Jones Loop Road to north on Alfred Blvd to right on Polk to left on Acorn- property on the left
Flood Zone Code: X
Home Warranty Y/N: No
Lot Dimensions: 0.63
Ownership: Fee Simple
Pets Allowed: Yes
Property Attached Y/N: No
Sewer: Septic Needed, Septic Tank
Showing Instructions: Go Direct
Special Sale Provisions: None
Utilities: Electricity Available
Water: Well, Well Required
Water Access Y/N: No
Zoning: AG

Listed By / Shown By

Listed By

Agency Name: RE/MAX PALM REALTY
Agency Contact: 941-743-5525

Shown By

Agency Title: Adams Cameron & Co. REALTORS - Commercial
Agency Phone: (386) 252-3120

IDX logo

Estimate Your Payment

Estimated Payment

$ 214.49 per month $186.28 Principal & Interest $18.00 Property Tax $10.21 Homeowner's Insurance

Change Payment Information

%
years/fixed
yearly
yearly (est.)
(Payments are an estimate and may vary by lender)

Rose Pinto and Dawson Walker can help you get pre-approved quickly and easily in order to get the home buying process started.

Login to My Property Finder

Pixel